Prodej, Orná půda, 51997 m2, Křečkov
- [22.10. 2025]Smazat/ Upravit/ Topovat
















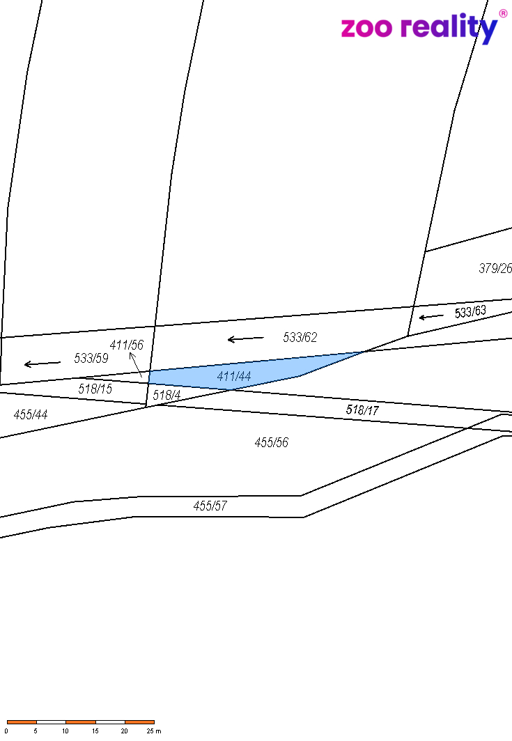
Nabízíme k prodeji pozemek v atraktivní lokalitě části obce Křečkov, okres Nymburk. Tento pozemek o celkové ploše 51 997 m² je klasifikován jako pole, což poskytuje široké možnosti využití pro zemědělské aktivity nebo jiné projekty spojené s přírodním prostředím.
Jedná se o tyto parcely:
parc. č. 200/5– orná půda
parc. č. 214 – orná půda
parc. č. 361 – orná půda
parc. č. 379/41 – orná půda
parc. č. 411/44 – orná půda
parc. č. 518/4 – ostatní plocha
parc. č. 533/36 – vodní plocha
parc. č. 533/62 - vodní plocha
V současné době je na pozemku zřízená smlouva o zemědělském pachtu, která bude přecházet na nového majitele.
Celkově lze pozemek hodnotit jako výjimečnou investiční příležitost v lokalitě se silným potenciálem. V případě zájmu nás neváhejte kontaktovat.
ev.č.: 9406
Cena je včetně provize a právního servisu.
celková plocha (m2): 51997
Jedná se o tyto parcely:
parc. č. 200/5– orná půda
parc. č. 214 – orná půda
parc. č. 361 – orná půda
parc. č. 379/41 – orná půda
parc. č. 411/44 – orná půda
parc. č. 518/4 – ostatní plocha
parc. č. 533/36 – vodní plocha
parc. č. 533/62 - vodní plocha
V současné době je na pozemku zřízená smlouva o zemědělském pachtu, která bude přecházet na nového majitele.
Celkově lze pozemek hodnotit jako výjimečnou investiční příležitost v lokalitě se silným potenciálem. V případě zájmu nás neváhejte kontaktovat.
ev.č.: 9406
Cena je včetně provize a právního servisu.
celková plocha (m2): 51997
|
| |||||||||||||||||||||||||||||||
Kontaktovat inzerenta emailem
Kontaktovat emailem může pouze ověřený uživatel.
Ověření je zdarma.
Vaše telefonní číslo *
Kontaktovat emailem může pouze ověřený uživatel.
Ověření je zdarma.
Vaše telefonní číslo *