Nabízíme k prodej stavební pozemky - Čáslav a okolí
- [31.10. 2025]Smazat/ Upravit/ Topovat























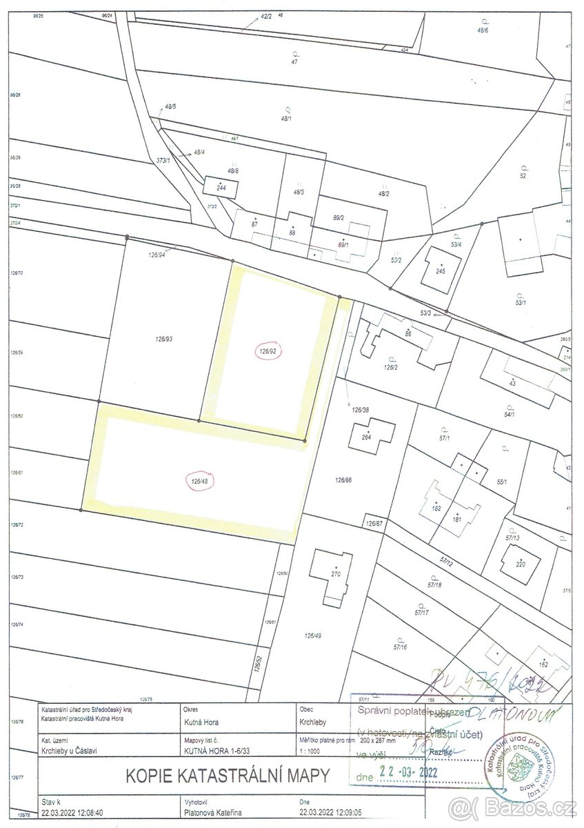
Nabízím prodej pozemků v obci Krchleby okres Kutná Hora. Pozemky jsou dle územního plánu určeny k výstavbě rodinných domu venkovského typu. Zastavěnost cca. 40%
Pozemky jsou na okraji obce v tiché části přístupné z obecní komunikace, tři minuty chůze od návsi – zastávka autobusů, pozemek zatravněná plocha není v záplavové oblasti
Občanská vybavenost v obci - školka , škola 1stupeň, obecní úřad, knihovna, kostel
sportovní volnočasové hřiště, malý obchod otevřen-7dní v týdnu,
https://www.youtube.com/watch?v=RQoJenbYm6o
Dostupnost – Čáslav 4,5 Km, Kutná Hora 12 Km, Kolín 22 Km
Doprava – autobus – Čáslav – Zruč n/Sázavou – Čáslav + PID spoj č. 402 Čáslav-Krchleby- Praha Roztyly - pracovní dny 6-8 x denně // So Ne + svátky 4 x denně
Doprava - vlakové spojení – Čáslav – Praha / Čáslav - Havlíčků Brod-Brno
Na příjezdové komunikaci u parcel - obecní vodovod a tlaková kanalizace s možností připojení.
Na pozemku vybudovány a osazeny přívody elektřiny – ČEZ
Pozemek jako celek – k výstavbě 5429 m2 cena k jednání 1890 Kč/m2
Pozemek 126/48 – 3268 m2
Pozemek 126/92 – 2161 m2
Kontakt : jaroslav.brs@seznam.cz
|
| |||||||||||||||||||||||||||||||
Kontaktovat inzerenta emailem
Kontaktovat emailem může pouze ověřený uživatel.
Ověření je zdarma.
Vaše telefonní číslo *
Kontaktovat emailem může pouze ověřený uživatel.
Ověření je zdarma.
Vaše telefonní číslo *


