Prodám dům se zahradou
- [1.11. 2025]Smazat/ Upravit/ Topovat






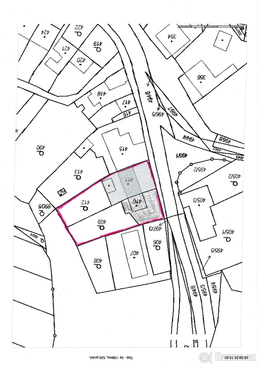
Prodám dům se zahradou 2+1 po rodičích na adrese Babice u Rosic, Dolní 32
zastavěná plocha a nádvoří - 352m2
zahrada - 409m2
zastavěná plocha a nádvoří - 352m2
zahrada - 409m2
|
| |||||||||||||||||||||||||||||||
Kontaktovat inzerenta emailem
Kontaktovat emailem může pouze ověřený uživatel.
Ověření je zdarma.
Vaše telefonní číslo *
Kontaktovat emailem může pouze ověřený uživatel.
Ověření je zdarma.
Vaše telefonní číslo *