Prodej st. pozemků 4.428 m2 pro 5 – 7 RD u Ml. Boleslavi.
- [10.11. 2025]Smazat/ Upravit/ Topovat
























RK NEVOLAT. Prodej st. pozemků 4.428 m2 s RD č.p. 130 pro výstavbu 5 – 7 RD v Mladé Boleslavi.
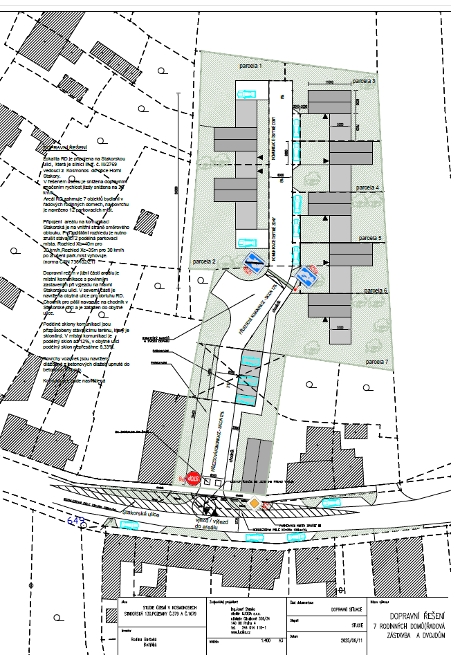
Jedná se o prodej RD i stavebních parcel ve velice lukrativním předměstí Mladé Boleslavi v obci Kosmonosy, Stakorská ul. č.p. 130, a to včetně prověřené a precizně zpracované architektonické studie pro výstavbu RD od renomovaných architektů. Jedna varianta nabízí výstavbu pěti rodinných domů a druhá sedm rodinných domů v řadové zástavbě a dvojdům. Součástí prodeje jsou i schválená stanoviska a vyjádření od Dopravního inspektorátu policie ČR, Vodovodů a kanalizace Mladá Boleslav, inženýrsko – geologické posouzení lokality aj. – v nich je obsaženo cca 6 měsíců práce profesionálního týmu.
Jedná se o parcely p.č. 379 – zastavěná plocha a nádvoří o výměře 849 m2, jejíž součástí je stavba rodinného domu č.p. 130 o zast. pl. ca 120 m2, který je dlouhodobě neobývaný, aktuálně neobyvatelný a v havarijním stavu, klasifikace dle územního plánu SM - bydlení smíšené obytné městské, výška stavby 8,5 m, koeficient zastavitelnosti 40%, a parcela p.č. 1679 – zahrada o výměře 3579 m2, dle úp BI - bydlení individuální, výška stavby 8 m, zastavitelnost 60%.
Veřejná kanalizace, vodovod, elektřina i plyn jsou uloženy v ulici Stakorská. Veškerá občanská vybavenost i vjezd na dálnici D 10 se nacházejí v blízkém dosahu. Blízkost nejúspěšnějšího výrobního areálu v ČR - Škoda Auto i připravenost výstavby na těchto parcelách nadchne každého developera i moudrého investora. V místě se také nachází turisticky atraktivní Zámek Kosmonosy, Klášter piaristů, Loreta, Přírodní rezervace Vrch Baba a nedaleko každého milovníka přírody potěší kouzelný Český ráj.
Prodejní cena 15.000.000,- Kč právní služby advokáta za sepis kupní smlouvy, smlouvy o úschově i advokátní úschovu kupní ceny do 10.000,- Kč včetně poplatku pro katastr za vklad kupní smlouvy a provizi pro RK.
Více informací najdete na samostatné stránce nemovitosti: https://romanjomrich.cz/prodej-st-pozemku-4-428-m2-s-rd-c-p-130-pro-vystavbu-5-7-rd-u-mlade-boleslavi-kosmonosy-za-15-000-000-kc
Jedná se o prodej RD i stavebních parcel ve velice lukrativním předměstí Mladé Boleslavi v obci Kosmonosy, Stakorská ul. č.p. 130, a to včetně prověřené a precizně zpracované architektonické studie pro výstavbu RD od renomovaných architektů. Jedna varianta nabízí výstavbu pěti rodinných domů a druhá sedm rodinných domů v řadové zástavbě a dvojdům. Součástí prodeje jsou i schválená stanoviska a vyjádření od Dopravního inspektorátu policie ČR, Vodovodů a kanalizace Mladá Boleslav, inženýrsko – geologické posouzení lokality aj. – v nich je obsaženo cca 6 měsíců práce profesionálního týmu.
Jedná se o parcely p.č. 379 – zastavěná plocha a nádvoří o výměře 849 m2, jejíž součástí je stavba rodinného domu č.p. 130 o zast. pl. ca 120 m2, který je dlouhodobě neobývaný, aktuálně neobyvatelný a v havarijním stavu, klasifikace dle územního plánu SM - bydlení smíšené obytné městské, výška stavby 8,5 m, koeficient zastavitelnosti 40%, a parcela p.č. 1679 – zahrada o výměře 3579 m2, dle úp BI - bydlení individuální, výška stavby 8 m, zastavitelnost 60%.
Veřejná kanalizace, vodovod, elektřina i plyn jsou uloženy v ulici Stakorská. Veškerá občanská vybavenost i vjezd na dálnici D 10 se nacházejí v blízkém dosahu. Blízkost nejúspěšnějšího výrobního areálu v ČR - Škoda Auto i připravenost výstavby na těchto parcelách nadchne každého developera i moudrého investora. V místě se také nachází turisticky atraktivní Zámek Kosmonosy, Klášter piaristů, Loreta, Přírodní rezervace Vrch Baba a nedaleko každého milovníka přírody potěší kouzelný Český ráj.
Prodejní cena 15.000.000,- Kč právní služby advokáta za sepis kupní smlouvy, smlouvy o úschově i advokátní úschovu kupní ceny do 10.000,- Kč včetně poplatku pro katastr za vklad kupní smlouvy a provizi pro RK.
Více informací najdete na samostatné stránce nemovitosti: https://romanjomrich.cz/prodej-st-pozemku-4-428-m2-s-rd-c-p-130-pro-vystavbu-5-7-rd-u-mlade-boleslavi-kosmonosy-za-15-000-000-kc
|
| |||||||||||||||||||||||||||||||
Kontaktovat inzerenta emailem
Kontaktovat emailem může pouze ověřený uživatel.
Ověření je zdarma.
Vaše telefonní číslo *
Kontaktovat emailem může pouze ověřený uživatel.
Ověření je zdarma.
Vaše telefonní číslo *
Podobné inzeráty
Stavební parcela Kosmonosy - [27.10. 2025]Nabízím k prodeji stavební parcelu v k.ú. Kosmonosy.
Parcela je o výměře 1858m.
Dle územního plánu se jedná o území pro bydlení v rodinných domech - městské a příměstské.
Cena 6000 kč/m
11 148 000 Kč
Mladá Boleslav
293 06
293 06
134 x
Označit špatný inzerát Chybnou kategorii Ohodnotit uživatele Smazat/Upravit/Topovat



