Podíl 1/4 na pozemcích v KÚ Drnovice u Val. Klobouk
- [12.11. 2025]Smazat/ Upravit/ Topovat








Insolvenční správkyně dlužníka Davida Stružky v insolvenčním řízení KSBR 30 INS 16460/2020 vedeném u Krajského soudu v Brně tímto nabízí k prodeji následující podíly na nemovitostech:
1) spoluvlastnický podíl o vel. id. 1/4 k pozemku parc č. 2538/40, LV č. 74 KÚ Drnovice u Valašských Klobouk, způsob využití orná půda, výměra 201 m², způsob ochrany zemědělský půdní fond
2) spoluvlastnický podíl o vel. id. 1/4 k pozemku parc č. 3678/12, LV č. 74 KÚ Drnovice u Valašských Klobouk, způsob využití ostatní plocha, neplodná půda, výměra 86 m²
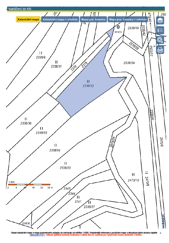
3) spoluvlastnický podíl o vel. id. 1/4 k pozemku parc č. 2338/32, LV č. 579 KÚ Drnovice u Valašských Klobouk, způsob využití trvalý travní porost, výměra 756 m², způsob ochrany zemědělský půdní fond
4) spoluvlastnický podíl o vel. id. 1/4 k pozemku parc č. 2503/5, LV č. 579 KÚ Drnovice u Valašských Klobouk, způsob využití orná půda, výměra 151 m², způsob ochrany zemědělský půdní fond
sepsaný do soupisu majetkové podstaty ve prospěch uspokojení zajištěného věřitele. Soupis majetkové podstaty je zveřejněn v insolvenčním rejstříku dlužníka na čísle listu B-6, veřejně dostupném na adrese https://isir.justice.cz/isir/doc/dokument.PDF?id=46082388
Zájemci o koupi jsou tímto vyzývání aby nejpozději do 15.12.2025 předložili na emailovou adresu insolvenční správkyně insolvence@hepperova.cz nabídku na koupi těchto spoluvlastnických podílů k pozemkům s uvedením nabízené kupní ceny.
Nabídka, nechť obsahuje:
- Uvedení subjektu, který činí nabídku, a to označením obchodní firmy, sídla, IČ, či jméno a příjmení, bydliště a data narození
- Uvedení emailového a telefonického kontaktu
- Uvedení nabízené kupní ceny
Insolvenční správkyně doručené nabídky předloží zajištěnému věřiteli, který sám rozhodne, zda některou z nabídek bude považovat za nejvýhodnější v daném místě a čase. Insolvenční správkyně, jakož i zajištěný věřitel, jsou oprávněni odmítnout jakoukoliv nabídku. Insolvenční správkyně nebude vyrozumívat zájemce, jejichž nabídka nebyla vybrána nebo jejichž nabídku odmítla. Bude-li některá nabídka vyhodnocena jako nejvýhodnější k přijetí, pak se předpokládá, že nabízená kupní cena bude složena před podpisem kupní smlouvy a před podáním návrhu na vklad do katastru nemovitostí buď na účet majetkové podstaty anebo v případě požadavku do advokátní úschovy na náklady kupujícího.
1) spoluvlastnický podíl o vel. id. 1/4 k pozemku parc č. 2538/40, LV č. 74 KÚ Drnovice u Valašských Klobouk, způsob využití orná půda, výměra 201 m², způsob ochrany zemědělský půdní fond
2) spoluvlastnický podíl o vel. id. 1/4 k pozemku parc č. 3678/12, LV č. 74 KÚ Drnovice u Valašských Klobouk, způsob využití ostatní plocha, neplodná půda, výměra 86 m²
3) spoluvlastnický podíl o vel. id. 1/4 k pozemku parc č. 2338/32, LV č. 579 KÚ Drnovice u Valašských Klobouk, způsob využití trvalý travní porost, výměra 756 m², způsob ochrany zemědělský půdní fond
4) spoluvlastnický podíl o vel. id. 1/4 k pozemku parc č. 2503/5, LV č. 579 KÚ Drnovice u Valašských Klobouk, způsob využití orná půda, výměra 151 m², způsob ochrany zemědělský půdní fond
sepsaný do soupisu majetkové podstaty ve prospěch uspokojení zajištěného věřitele. Soupis majetkové podstaty je zveřejněn v insolvenčním rejstříku dlužníka na čísle listu B-6, veřejně dostupném na adrese https://isir.justice.cz/isir/doc/dokument.PDF?id=46082388
Zájemci o koupi jsou tímto vyzývání aby nejpozději do 15.12.2025 předložili na emailovou adresu insolvenční správkyně insolvence@hepperova.cz nabídku na koupi těchto spoluvlastnických podílů k pozemkům s uvedením nabízené kupní ceny.
Nabídka, nechť obsahuje:
- Uvedení subjektu, který činí nabídku, a to označením obchodní firmy, sídla, IČ, či jméno a příjmení, bydliště a data narození
- Uvedení emailového a telefonického kontaktu
- Uvedení nabízené kupní ceny
Insolvenční správkyně doručené nabídky předloží zajištěnému věřiteli, který sám rozhodne, zda některou z nabídek bude považovat za nejvýhodnější v daném místě a čase. Insolvenční správkyně, jakož i zajištěný věřitel, jsou oprávněni odmítnout jakoukoliv nabídku. Insolvenční správkyně nebude vyrozumívat zájemce, jejichž nabídka nebyla vybrána nebo jejichž nabídku odmítla. Bude-li některá nabídka vyhodnocena jako nejvýhodnější k přijetí, pak se předpokládá, že nabízená kupní cena bude složena před podpisem kupní smlouvy a před podáním návrhu na vklad do katastru nemovitostí buď na účet majetkové podstaty anebo v případě požadavku do advokátní úschovy na náklady kupujícího.
|
| |||||||||||||||||||||||||||||||
Kontaktovat inzerenta emailem
Kontaktovat emailem může pouze ověřený uživatel.
Ověření je zdarma.
Vaše telefonní číslo *
Kontaktovat emailem může pouze ověřený uživatel.
Ověření je zdarma.
Vaše telefonní číslo *
Podobné inzeráty
SLEVA prodám ovocný sad+trvalý travní porost ve Vysokém Poli - [7.12. 2025]Prodám pozemky (vedeno jako ovocný sad + trvalý travní porost) ve Vysokém Poli.
LV 1012- Vysoké Pole
Celkový výměr je 5576m2
Parcela č. 478 a 473-ovocný sad-cena 100kč/m2
Parcela č.474 65kč/m2
Parcely 1987 a 1986 nad budoucí přehradou 100kč/m2
V textu
Zlín
763 25
763 25
42 x
Označit špatný inzerát Chybnou kategorii Ohodnotit uživatele Smazat/Upravit/Topovat
Prodej pozemku 916m2 s možností výstavby RD, Vysoké Pole - [4.11. 2025]Nabízím ke koupi pozemek v katastrálním území Vysoké Pole (okres Zlín) 788317. Pozemková parcela č.4621/3, kt. je v ÚP určena k zastavění. Pozemek se nachází v klidné/okrajové části vesnice, kde už je obcí navrhnuta územní studie/veřejná infrastruktu ...
Dohodou
Zlín
763 25
763 25
333 x
Označit špatný inzerát Chybnou kategorii Ohodnotit uživatele Smazat/Upravit/Topovat