pozemek v Sokolnicích
- [1.12. 2025]Smazat/ Upravit/ Topovat






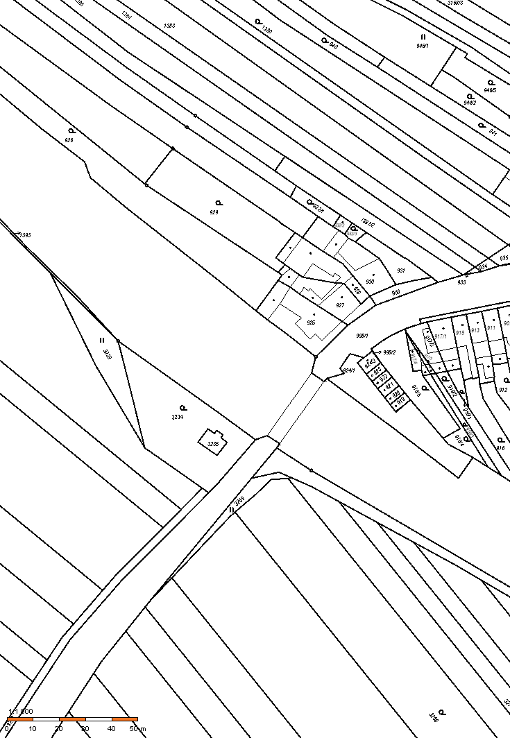
Pozemek v Sokolnicích u Brna na okraji obce, pod vysokým napětím, přístupný kamionem, vhodný k parkování nebo skladování pod širým nebem.
Výměra 1590 m2. Parcely 3233,3234 a 3235.
Pozemek je čistý, zpevněný. Elektrická přípojka a oplocení objednáno.
Nájemné 30 Kč/m2/měs.,t.j. 47 700 Kč/měs.
Výměra 1590 m2. Parcely 3233,3234 a 3235.
Pozemek je čistý, zpevněný. Elektrická přípojka a oplocení objednáno.
Nájemné 30 Kč/m2/měs.,t.j. 47 700 Kč/měs.
|
| |||||||||||||||||||||||||||||||
Kontaktovat inzerenta emailem
Kontaktovat emailem může pouze ověřený uživatel.
Ověření je zdarma.
Vaše telefonní číslo *
Kontaktovat emailem může pouze ověřený uživatel.
Ověření je zdarma.
Vaše telefonní číslo *