Stavební parcela Písek - Hradiště
- [17.12. 2025]Smazat/ Upravit/ Topovat






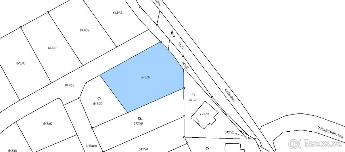
Dovolujeme si Vám nabídnout k prodeji atraktivní pozemek určený pro bydlení v malebném městě Písek. Tento pozemek s rozlohou 1276 m² se nachází v městské části Hradiště a představuje ideální místo pro výstavbu rodinného domu či jiného bydlení dle Vašich představ. Díky své velikosti poskytuje dostatek prostoru pro případné rozdělení na 2 stavební parcely.
Pozemek se nachází v klidné lokalitě, která je zároveň dobře dostupná do centra města. Písek je známý svou historickou atmosférou, bohatým kulturním životem a širokou nabídkou služeb, což z něj činí výjimečné místo pro bydlení. Budete mít možnost užívat si výhody městského života, aniž byste ztratili kontakt s přírodou.
Cena pozemku je 7100 Kč/m²
Pozemek se nachází v klidné lokalitě, která je zároveň dobře dostupná do centra města. Písek je známý svou historickou atmosférou, bohatým kulturním životem a širokou nabídkou služeb, což z něj činí výjimečné místo pro bydlení. Budete mít možnost užívat si výhody městského života, aniž byste ztratili kontakt s přírodou.
Cena pozemku je 7100 Kč/m²
|
| |||||||||||||||||||||||||||||||
Kontaktovat inzerenta emailem
Kontaktovat emailem může pouze ověřený uživatel.
Ověření je zdarma.
Vaše telefonní číslo *
Kontaktovat emailem může pouze ověřený uživatel.
Ověření je zdarma.
Vaše telefonní číslo *