Prodej, Orná půda, 51997 m2, Křečkov
- [24.12. 2025]Smazat/ Upravit/ Topovat
















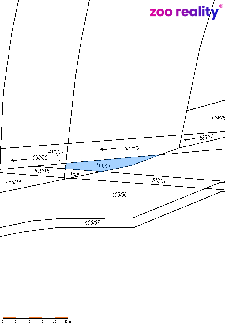
Nabízíme k prodeji pozemek v atraktivní lokalitě části obce Křečkov, okres Nymburk. Tento pozemek o celkové ploše 51 997 m² je klasifikován jako pole, což poskytuje široké možnosti využití pro zemědělské aktivity nebo jiné projekty spojené s přírodním prostředím.
Jedná se o tyto parcely:
parc. č. 200/5– orná půda
parc. č. 214 – orná půda
parc. č. 361 – orná půda
parc. č. 379/41 – orná půda
parc. č. 411/44 – orná půda
parc. č. 518/4 – ostatní plocha
parc. č. 533/36 – vodní plocha
parc. č. 533/62 - vodní plocha
V současné době je na pozemku zřízená smlouva o zemědělském pachtu, která bude přecházet na nového majitele.
Celkově lze pozemek hodnotit jako výjimečnou investiční příležitost v lokalitě se silným potenciálem. V případě zájmu nás neváhejte kontaktovat.
ev.č.: 9406
Cena je včetně provize a právního servisu.
celková plocha (m2): 51997
Jedná se o tyto parcely:
parc. č. 200/5– orná půda
parc. č. 214 – orná půda
parc. č. 361 – orná půda
parc. č. 379/41 – orná půda
parc. č. 411/44 – orná půda
parc. č. 518/4 – ostatní plocha
parc. č. 533/36 – vodní plocha
parc. č. 533/62 - vodní plocha
V současné době je na pozemku zřízená smlouva o zemědělském pachtu, která bude přecházet na nového majitele.
Celkově lze pozemek hodnotit jako výjimečnou investiční příležitost v lokalitě se silným potenciálem. V případě zájmu nás neváhejte kontaktovat.
ev.č.: 9406
Cena je včetně provize a právního servisu.
celková plocha (m2): 51997
|
| |||||||||||||||||||||||||||||||
Kontaktovat inzerenta emailem
Kontaktovat emailem může pouze ověřený uživatel.
Ověření je zdarma.
Vaše telefonní číslo *
Kontaktovat emailem může pouze ověřený uživatel.
Ověření je zdarma.
Vaše telefonní číslo *
Podobné inzeráty
Zemědělská půda, prodej, Polabec, Poděbrady, Nymburk - [11.12. 2025]V období vánočních svátků může být naše reakce na Vaši poptávku pomalejší.
Pokud máte o inzerovaný pozemek zájem, doporučujeme ozvat se nám již nyní telefonicky nebo e-mailem. Ozveme se Vám po 5. 1. 2026.
Nabízím ke koupi vlastnictví na zemědělskýc ...
1 374 973 Kč
Nymburk
290 01
290 01
100 x
Označit špatný inzerát Chybnou kategorii Ohodnotit uživatele Smazat/Upravit/Topovat
Stavební pozemek Choťánky 848 m2 poslední z leva - [6.12. 2025], Dumrealit.cz - Pavel Kosina Vám zprostředkuje prodej kompletně zasíťovaného stavebního pozemku o výměře 848 m²
Tento pozemek je umístěn v okrajové části nově vznikající zástavbě rodinných domů kousek od Poděbrad.
Na hranici pozemku jsou již ...
4 323 952 Kč
Nymburk
290 01
290 01
274 x
Označit špatný inzerát Chybnou kategorii Ohodnotit uživatele Smazat/Upravit/Topovat
Stavební pozemek Choťánky 830 m2 prostřední - [6.12. 2025], Dumrealit.cz - Pavel Kosina Vám zprostředkuje prodej kompletně zasíťovaného stavebního pozemku o výměře 830.m²
Tento pozemek je umístěn v okrajové části nově vznikající zástavbě rodinných domů kousek od Poděbrad.
Na hranici pozemku jsou již ...
4 232 170 Kč
Nymburk
290 01
290 01
271 x
Označit špatný inzerát Chybnou kategorii Ohodnotit uživatele Smazat/Upravit/Topovat
Zemědělská půda, prodej, Kouty, Nymburk - [5.12. 2025]V období vánočních svátků může být naše reakce na Vaši poptávku pomalejší.
Pokud máte o inzerovaný pozemek zájem, doporučujeme ozvat se nám již nyní telefonicky nebo e-mailem. Ozveme se Vám po 5. 1. 2026.
Nabízím k prodeji ornou půdu ve výlučném vl ...
1 885 212 Kč
Nymburk
290 01
290 01
162 x
Označit špatný inzerát Chybnou kategorii Ohodnotit uživatele Smazat/Upravit/Topovat
Stavební pozemek 655m2 s povolením na dvojdům 2x 4+1 Choťánk - [2.12. 2025]Nabízíme stavební pozemek 655m2 se stavebním povolením na nízkoenergetický rodinný dvojdům 2x 4+1 v lokalitě Choťánky u Poděbrad.
Slunný pozemek s krásným výhledem o rozloze 655 m2. U pozemku kompletní inženýrské sítě, voda, elektrika a kanalizace ...
4 250 000 Kč
Nymburk
290 01
290 01
329 x
Označit špatný inzerát Chybnou kategorii Ohodnotit uživatele Smazat/Upravit/Topovat
Slunný stavební pozemek 619m2 na okraji Poděbrad - [23.11. 2025]🌿 Toužíte po klidu venkova, ale nechcete se vzdát výhod města?
Pak pro vás máme jedinečnou příležitost – stavební pozemek v nové zástavbě v obci Choťánky, přímo na okraji lázeňských Poděbrad.
✨ Co dělá tento pozemek výjimečným?
• Umístění na ne ...
3 800 000 Kč
Nymburk
290 01
290 01
479 x
Označit špatný inzerát Chybnou kategorii Ohodnotit uživatele Smazat/Upravit/Topovat
Stavební pozemek u Poděbrad, 566 m2 - TOP - [10.11. 2025]Nabízíme k prodeji pozemek v obci Choťánky, v těsné blízkosti Poděbrad. který je ideální příležitostí pro ty, kteří hledají klidné místo pro bydlení s výbornou dostupností.
Tento pozemek o celkové výměře 566 m², je rohový a poskytuje dostatek pro ...
3 670 000 Kč
Nymburk
290 01
290 01
839 x
Označit špatný inzerát Chybnou kategorii Ohodnotit uživatele Smazat/Upravit/Topovat