Prodej pozemku Buchlovice
- [13.2. 2026]Smazat/ Upravit/ Topovat




















včetně provize a právního servisu, Pozemek k prodeji v obci Buchlovice.
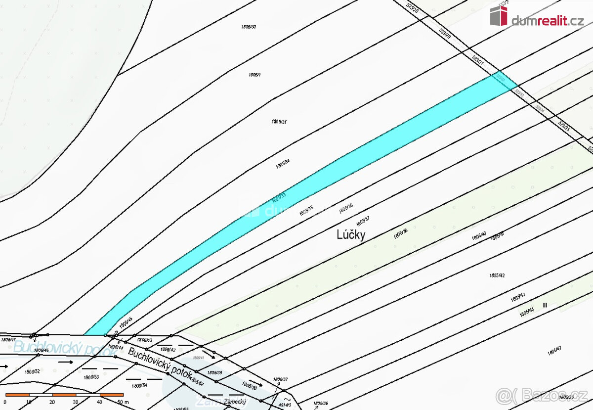
Rádi Vám nabízíme ke koupi pozemek v klidné části obce Buchlovice. Pozemek má celkovou výměru 1515 m² (s uliční šíří cca 9,5 m) a je v platném Územním plánu obce vedený pro individuální bydlení. Obec tuto lokalitu určila pro budoucí výstavbu rodinných domů. V současné době nemá pozemek přípojku IS ani přístupovou komunikaci. V budoucím plánu je i odprodej části pozemku obci, která vybuduje zmíněnou komunikaci včetně přípojek IS. Z toho plyne, že v současné době nelze pozemek zastavět a je třeba vyčkat na další kooperaci s obcí (toto je zohledněno v prodejní ceně).
Pozemek se nachází v klidné lokalitě mezi fotbalovým hřištěm a zámeckou zahradou. Buchlovice je městys s plnou občanskou vybaveností a dobrou dopravní dostupností.
Pokud budete mít zájem o více informací, popř. prohlídku pozemku, ozvěte se realitnímu makléři. Ev. číslo: 652770.
Rádi Vám nabízíme ke koupi pozemek v klidné části obce Buchlovice. Pozemek má celkovou výměru 1515 m² (s uliční šíří cca 9,5 m) a je v platném Územním plánu obce vedený pro individuální bydlení. Obec tuto lokalitu určila pro budoucí výstavbu rodinných domů. V současné době nemá pozemek přípojku IS ani přístupovou komunikaci. V budoucím plánu je i odprodej části pozemku obci, která vybuduje zmíněnou komunikaci včetně přípojek IS. Z toho plyne, že v současné době nelze pozemek zastavět a je třeba vyčkat na další kooperaci s obcí (toto je zohledněno v prodejní ceně).
Pozemek se nachází v klidné lokalitě mezi fotbalovým hřištěm a zámeckou zahradou. Buchlovice je městys s plnou občanskou vybaveností a dobrou dopravní dostupností.
Pokud budete mít zájem o více informací, popř. prohlídku pozemku, ozvěte se realitnímu makléři. Ev. číslo: 652770.
|
| |||||||||||||||||||||||||||||||
Kontaktovat inzerenta emailem
Kontaktovat emailem může pouze ověřený uživatel.
Ověření je zdarma.
Vaše telefonní číslo *
Kontaktovat emailem může pouze ověřený uživatel.
Ověření je zdarma.
Vaše telefonní číslo *