Vitinka - Rokycany pozemek 309m2
- [19.2. 2026]Smazat/ Upravit/ Topovat










Prosím o nekontaktování RK, realitních kanceláří a makléřů.
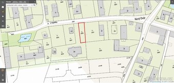
Nabízím k prodeji stavební pozemek o rozloze 309m2. Pozemek se nachází na rovinatém terénu. Obec je klidná a mimo hlavní komunikaci. Celkem zastavena plocha může být 50% z pozemku. Vodovodní řad a kanalizace na dešťovou vodu je na hranici pozemku. Elektřina je zatím vyřešena sloupkem na pozemku jak 230 tak na 400 voltů.
Obec Vitinka (Nový Dvůr ) se nachází 3 km od Oseku, kde je jak škola tak školka a potraviny.
Rokycany cca 5 km a Plzeň 16 km. Pod obcí je nově přípojka na dálnici D5 cca 3 km.
Nabízím k prodeji stavební pozemek o rozloze 309m2. Pozemek se nachází na rovinatém terénu. Obec je klidná a mimo hlavní komunikaci. Celkem zastavena plocha může být 50% z pozemku. Vodovodní řad a kanalizace na dešťovou vodu je na hranici pozemku. Elektřina je zatím vyřešena sloupkem na pozemku jak 230 tak na 400 voltů.
Obec Vitinka (Nový Dvůr ) se nachází 3 km od Oseku, kde je jak škola tak školka a potraviny.
Rokycany cca 5 km a Plzeň 16 km. Pod obcí je nově přípojka na dálnici D5 cca 3 km.
|
| |||||||||||||||||||||||||||||||
Kontaktovat inzerenta emailem
Kontaktovat emailem může pouze ověřený uživatel.
Ověření je zdarma.
Vaše telefonní číslo *
Kontaktovat emailem může pouze ověřený uživatel.
Ověření je zdarma.
Vaše telefonní číslo *