Vitinka - Rokycany pozemek 309m2
- [19.3. 2026]Smazat/ Upravit/ Topovat












Prosím o nekontaktování RK, realitních kanceláří a makléřů.
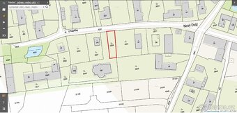
Nabízím k prodeji stavební pozemek o rozloze 309m2. Pozemek se nachází na rovinatém terénu. Obec je klidná a mimo hlavní komunikaci. Celkem zastavena plocha může být 50% z pozemku. Vodovodní řad a kanalizace na dešťovou vodu je na hranici pozemku. Elektřina je zatím vyřešena sloupkem na pozemku jak 230 tak na 400 voltů.
Obec Vitinka (Nový Dvůr ) se nachází 3 km od Oseku, kde je jak škola tak školka a potraviny.
Rokycany cca 5 km a Plzeň 16 km. Pod obcí je nově přípojka na dálnici D5 cca 3 km.
Nabízím k prodeji stavební pozemek o rozloze 309m2. Pozemek se nachází na rovinatém terénu. Obec je klidná a mimo hlavní komunikaci. Celkem zastavena plocha může být 50% z pozemku. Vodovodní řad a kanalizace na dešťovou vodu je na hranici pozemku. Elektřina je zatím vyřešena sloupkem na pozemku jak 230 tak na 400 voltů.
Obec Vitinka (Nový Dvůr ) se nachází 3 km od Oseku, kde je jak škola tak školka a potraviny.
Rokycany cca 5 km a Plzeň 16 km. Pod obcí je nově přípojka na dálnici D5 cca 3 km.
|
| |||||||||||||||||||||||||||||||
Kontaktovat inzerenta emailem
Kontaktovat emailem může pouze ověřený uživatel.
Vaše telefonní číslo *
Kontaktovat emailem může pouze ověřený uživatel.
Vaše telefonní číslo *
Podobné inzeráty
Zemědělská půda, prodej, Ejpovice, Rokycany - [17.3. 2026]V katastrálním území Ejpovice, okres Rokycany, nabízím ke koupi zemědělskou půdu na souboru zemědělských pozemků zapsaných na listu vlastnictví č. 188.
Celková výměra všech dotčených pozemků činí 47 682 m, přičemž k prodeji je z toho 15 894 m. Jedná ...
699 336 Kč
Rokycany
337 01
337 01
71 x
Označit špatný inzerát Chybnou kategorii Ohodnotit uživatele Smazat/Upravit/Topovat
Prodej podílu 1/2 zemědělských pozemků na Rokycansku - [13.3. 2026]Ev.č. VŠ-8049
V Plzeňském kraji, konkrétně ve dvou sousedních katastrálních územích Borek u Rokycan a Rokycany, nabízíme k prodeji spoluvlastnický podíl ve výši 1/2 na souborech zemědělských pozemků, když uvedenému podílu odpovídá výměra 2,8 ha. Poze ...
849 000 Kč
Rokycany
337 01
337 01
124 x
Označit špatný inzerát Chybnou kategorii Ohodnotit uživatele Smazat/Upravit/Topovat
Zemědělská půda, prodej, Sirá, Rokycany - [9.2. 2026]V katastrálním území Sirá, okres Rokycany, nabízím k prodeji zemědělský pozemek ve výlučném vlastnictví, zapsaný na listu vlastnictví č. 156.
Jedná se o parcelu č. 494 vedenou jako orná půda. Celková výměra pozemku činí 32 483 m. Nachází se podél ce ...
1 624 150 Kč
Rokycany
337 01
337 01
193 x
Označit špatný inzerát Chybnou kategorii Ohodnotit uživatele Smazat/Upravit/Topovat
Zemědělská půda, prodej, Ejpovice, Rokycany - [4.2. 2026]Podílové vlastnictví na dvou navazujících pozemcích ve stavební ploše bydlení
V souhrnu:
-> Spoluvlastnictví ideální 1/3 na dvou parcelách
-> List vlastnictví 188, parc. č. 629/5 a 1054/37
-> Celková výměra pozemků: 12 761 m2
-> Výměra předmětem pro ...
1 647 020 Kč
Rokycany
337 01
337 01
239 x
Označit špatný inzerát Chybnou kategorii Ohodnotit uživatele Smazat/Upravit/Topovat
Prodej pole - orná půda - 10908m² - [27.1. 2026]Prodej zemědělského pole (orná půda) vhodného i pro investiční záměr o celkové výměře 10908 m² v katastrálním území Litohlavy.
Pozemek je veden na KÚ jako orná půda. Poblíž komunikace.
Je zde prováděn pacht s místním ZD s každoročním příjmem .
...
899 990 Kč
Rokycany
337 01
337 01
399 x
Označit špatný inzerát Chybnou kategorii Ohodnotit uživatele Smazat/Upravit/Topovat